The Shelby Museum Of History
 
 
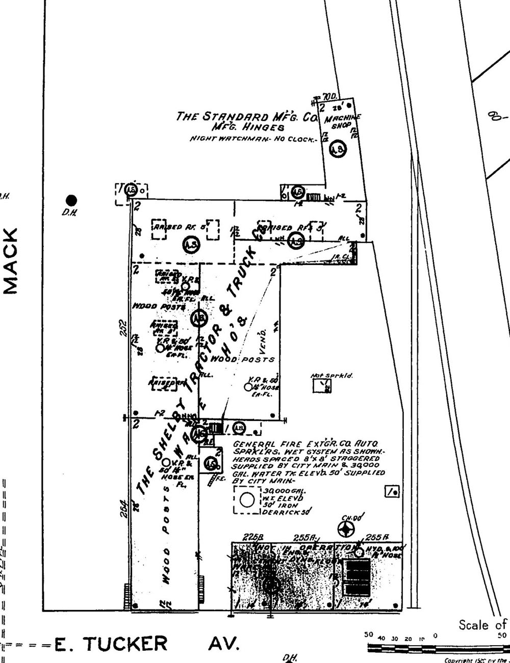
Sanborn Fire Insurance Map
 
Shelby Electric Company Location - 1919

 

Copyright © 2000 - 2010 The Shelby Musuem Of History, Inc.